Cohesión Territorial licita las obras para construir una nueva glorieta y un corredor peatonal en Cárcar

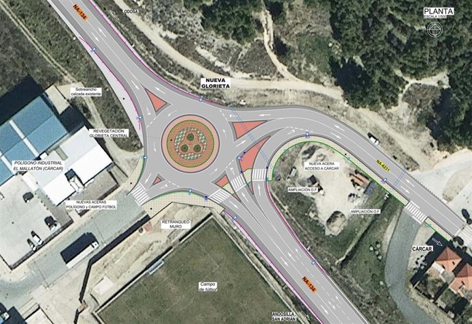
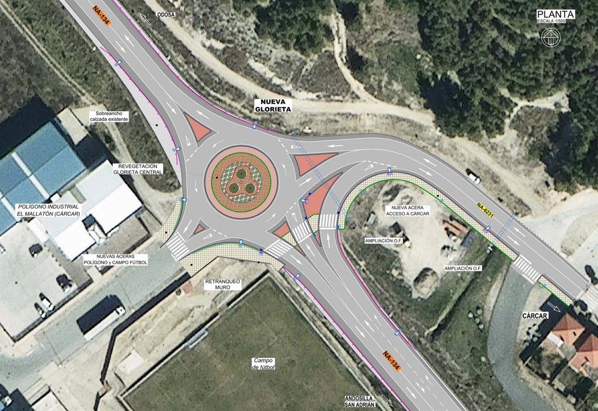
Plano de la nueva glorieta y senda peatonal que se construirá en Cárcar.
Plano de la nueva glorieta y senda peatonal que se construirá en Cárcar. - GOBIERNO DE NAVARRA
Europa Press Navarra
Publicado: martes, 23 marzo 2021 9:58

PAMPLONA 23 Mar. (EUROPA PRESS) -

El departamento de Cohesión Territorial del Gobierno de Navarra ha licitado, con un presupuesto de 428.299,38 euros (IVA incluido), las obras para la renovación de la nueva glorieta de Cárcar en la carretera NA-134 y la construcción de un corredor peatonal que permitirá acceder a pie al polígono industrial y al campo de fútbol. Las empresas interesadas podrán presentar sus ofertas hasta el 1 de abril.

La zona registra un tránsito peatonal elevado, ya que la vía separa el casco urbano del polígono El Mallatón y el campo de fútbol. Actualmente, no dispone de pasos de peatones, por lo que es habitual que los viandantes crucen a pie la calzada, especialmente durante las horas de entrada y salida de las empresas y coincidiendo con los eventos deportivos. Esta actuación contribuirá a la adecuación del acceso a la localidad desde la N-134, Eje del Ebro, y permitirá el aumento de la seguridad vial.

RENOVACIÓN DE LA GLORIETA

Actualmente, la intersección se resuelve con una glorieta partida en la que los viales de acceso o salida no intervienen en el tráfico de la NA-134. Por ello, la velocidad de los vehículos en tránsito es bastante elevada y se incrementa el riesgo de atropellos graves. El Eje del Ebro registra un tráfico de 3.400 vehículos diarios en el tramo Cárcar-Lodosa, de los que un 11% se corresponden con vehículos pesados, ha informado el Gobierno foral.

Las obras permitirán transformar la glorieta partida en una glorieta cerrada, que contribuirá a reducir la velocidad de circulación en este tramo y minimizará las probabilidades de colisiones frontolaterales.

Se construirá también un corredor peatonal desde el final de la actual acera en el núcleo urbano, en la calle Salvador Ordóñez, hasta la acera del polígono industrial, junto al campo de fútbol. El paso peatonal cruzará 3 calzadas, las dos de la NA-134 y el vial directo de entrada a Cárcar desde Andosilla. El proyecto incluye la reubicación de luminarias y farolas para favorecer la visibilidad del paso peatonal y una nueva señalización de la rotonda.

La actuación solo afecta a terrenos de titularidad municipal que el ayuntamiento ha puesto a disposición del Departamento de Cohesión Territorial para ejecutar las obras. Se trata de la zona que se transformará en acera junto al vial de acceso a Cárcar y una pequeña parte de la esquina del recinto del campo de fútbol.

Contenido patrocinado