Adjudicado el proyecto para remodelar el enlace entre la AS-II y la A-8, a la altura de Roces

La empresa Antea Iberolatam contará con un plazo de ejecución de cinco meses

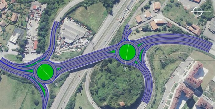
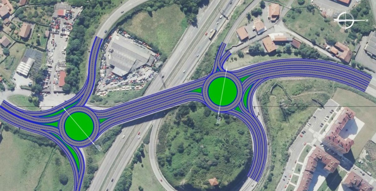
Plano del proyecto para remodelar el enlace entre la AS-II y la A-8, a la altura de Roces, en Gijón.
Plano del proyecto para remodelar el enlace entre la AS-II y la A-8, a la altura de Roces, en Gijón. - PRINCIPADO DE ASTURIAS
Europa Press Asturias
Publicado: lunes, 1 abril 2024 16:28

GIJÓN, 1 Abr. (EUROPA PRESS) -

La Consejería de Fomento, Cooperación local y Prevención de Incendios del Principado de Asturias ha adjudicado a la empresa Antea Iberolatam los trabajos de redacción del proyecto para remodelar el enlace entre la AS-II y la A-8 a la altura de Roces, en Gijón, por una cuantía de por 57.553 euros y un plazo de ejecución de cinco meses.

Según una nota de prensa del Principado, la redacción de este proyecto forma parte de los acuerdos suscritos entre el Principado y el Ministerio de Fomento en 2019 para realizar los estudios necesarios que permitan definir y construir las actuaciones pertinentes para mejorar la conectividad entre la red de carreteras del Estado y la autonómica en la zona central de Asturias.

Dentro de ese protocolo también se encontraba la redacción del proyecto del enlace de Robledo por parte del Ministerio de Transportes y Movilidad Sostenible, actualmente en fase de evaluación ambiental.

La adjudicación incluye la redacción del proyecto de trazado, que debe ser sometido al trámite de información pública, y la del proyecto constructivo, al que se deberán incorporar los cambios adoptados en la tramitación previa.

Últimas noticias sobre estos temas

Contenido patrocinado