Se somete a información pública el proyecto del nuevo enlace de Roces

Permitirá una circulación más fluida de los vehículos procedentes de la A-8 en su incorporación a la AS-II

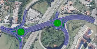
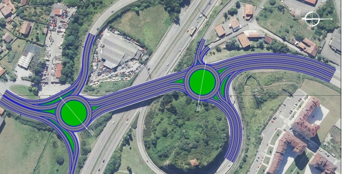
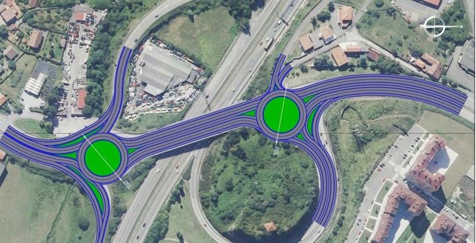
Infografía del proyecto del nuevo enlace entre la AS-II y la autovía del Cantábrico (A-8), a la altura de Roces, en Gijón.
Infografía del proyecto del nuevo enlace entre la AS-II y la autovía del Cantábrico (A-8), a la altura de Roces, en Gijón. - PRINCIPADO DE ASTURIAS
Europa Press Asturias
Publicado: miércoles, 12 noviembre 2025 14:20

GIJÓN, 12 Nov. (EUROPA PRESS) -

El Gobierno de Asturias ha iniciado el trámite de información pública del proyecto del nuevo enlace entre la AS-II y la autovía del Cantábrico (A-8), a la altura de Roces, en Gijón.

Este incluye dos glorietas sobre la vía de alta capacidad autonómica para mejorar la seguridad y la fluidez del tráfico. La actuación superaría los 3,7 millones de inversión, según una nota de prensa del Gobierno asturiano.

En este sentido, el Boletín Oficial del Principado (BOPA) ha publicado este miércoles la apertura del proceso de información pública, trámite previo a la licitación de las obras.

La actuación propuesta consiste en remodelar los dos nudos actuales de conexión entre ambas vías con el fin de ofrecer una solución más sencilla para los conductores y lograr una circulación más fluida de los vehículos procedentes de la A-8 en su incorporación a la AS-II.

El proyecto consiste en la creación de un enlace en forma de pesa que incluirá dos glorietas de 44 metros de diámetro, con dos carriles de cuatro metros de ancho, así como la adaptación de los viales a la nueva intersección.

Para ello, será necesario ampliar un paso inferior y actuar sobre la obra de drenaje a través de la que discurre el arroyo de Tremañes. Además, se implantarán tres carriles segregados que permitirán una conexión directa entre las dos autovías sin necesidad de pasar por las glorietas.

El enlace de Roces conecta el tramo de circunvalación de la A-8, de titularidad estatal, y la AS-II (autovía de la Industria), de titularidad autonómica, a la altura del punto kilométrico 382 de la autovía del Cantábrico, y del kilómetro 24 de la autovía industrial, en el entorno periurbano de Gijón. Esta confluencia de tráficos hace del nudo de Roces un punto clave en cuanto a la seguridad vial.

La redacción del proyecto de remodelación del enlace forma parte de los acuerdos suscritos entre el Principado y el Ministerio de Fomento en 2019 para realizar los estudios necesarios que permitan definir y construir las estructuras pertinentes para mejorar la conexión entre la red de carreteras del Estado y la autonómica en la zona central de Asturias.

Dentro de ese protocolo también figuraba la redacción del proyecto del enlace de Robledo por parte del Ministerio de Transportes y Movilidad Sostenible, que está actualmente en fase de evaluación ambiental.

Contador

Últimas noticias sobre estos temas

Contenido patrocinado