Un punto caliente móvil formó la cresta submarina más larga de la Tierra

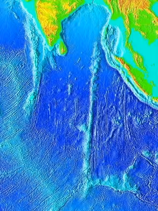
La cresta Ninety East en el centro de la imagen y la cresta Chagos-Laccadive en el lado superior izquierdo. - WIKIPEDIA
Europa Press Ciencia
Actualizado: jueves, 28 noviembre 2024 17:21

   MADRID, 28 Nov. (EUROPA PRESS) -

   La cordillera Ninety East Yeast, la cadena montañosa submarina más larga de la Tierra, se formó a través de un proceso diferente al que se creía anteriormente, según una nueva investigación.

   La cordillera, que se extiende 5.000 km a lo largo de la longitud este de 90 grados del Océano Índico y casi coincide con la longitud de las Montañas Rocosas de América del Norte, ofrece nuevos conocimientos cruciales sobre el movimiento de las placas tectónicas de la Tierra.

   El coautor Dr. Hugo Olierook de la Escuela de Ciencias de la Tierra y Planetarias de la Universidad de Curtin dijo que la datación de alta precisión de los minerales extraídos de la cordillera muestra que se formó entre 83 y 43 millones de años atrás como una enorme cadena volcánica, con sus secciones más antiguas en el norte, cerca de la India. El estudio se publica en Nature Communications.

   "A diferencia de la mayoría de los puntos calientes volcánicos que permanecen estacionarios en el manto y crean estelas volcánicas a medida que las placas tectónicas se desplazan sobre ellos, este estudio descubrió que el punto caliente responsable de la dorsal Ninety east se movió varios cientos de kilómetros dentro del manto con el tiempo", dijo el Dr. Olierook en un comunicado.

   "Se cree que este tipo de movimiento de puntos calientes es común, pero es difícil de probar y solo se ha demostrado anteriormente en unos pocos puntos calientes en el océano Pacífico, lo que hace que este sea el primer caso documentado en el océano Índico".

   Este descubrimiento no solo revisa la edad y el origen estimados de la dorsal, sino que también ayuda a los científicos a crear modelos más precisos de cómo se han desplazado las placas tectónicas de la Tierra a lo largo de millones de años.

   El coautor, el profesor Fred Jourdan, de la Escuela de Ciencias de la Tierra y Planetarias de Curtin y el Centro John de Laeter, dijo que las técnicas de datación precisas eran vitales para comprender el pasado geológico de la Tierra.

   "Durante años, se han utilizado estimaciones aproximadas de la edad de la dorsal Ninety East Yeast para construir modelos de cómo se movieron y reconfiguraron las placas tectónicas de la Tierra", dijo el profesor Jourdan.

   "Mediante el uso de dataciones de alta precisión, podemos refinar significativamente estos modelos, lo que nos permitirá comprender mejor los movimientos continentales antiguos".

   Qiang Jiang, profesor asociado de la Universidad del Petróleo de China y estudiante de doctorado en la Escuela de Ciencias de la Tierra y Planetarias de Curtin en el momento del estudio, autor principal, dijo que para predecir mejor la ocurrencia de desastres naturales como terremotos y erupciones volcánicas, era importante saber con precisión cómo funciona la plomería interna de la Tierra.

   "Actualmente, esto está lejos de ser así, por lo que estudios como este son un gran paso en la dirección correcta", dijo el profesor asociado Jiang.

Contenido patrocinado