El incendio de un turismo y las obras complican la circulación en la VA-20 a primera hora de la mañana

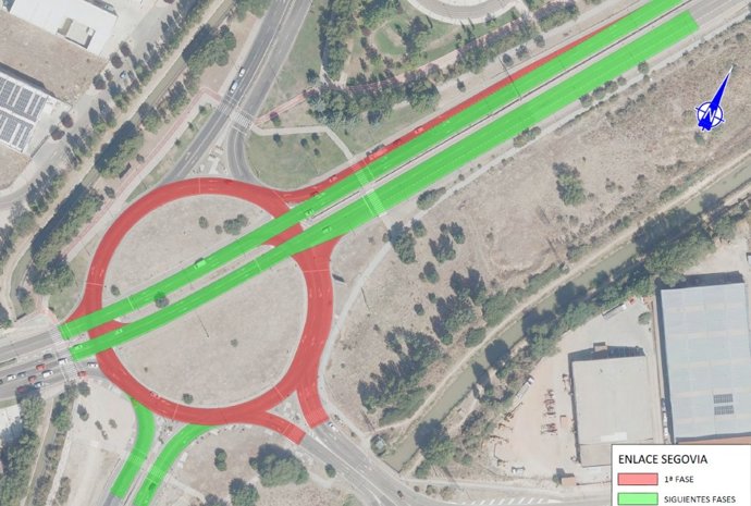
Mapa del corte en la rotonda de la VA-20 en la confluencia con la carretera de Segovia y el Polígono de San Cristóbal.
Mapa del corte en la rotonda de la VA-20 en la confluencia con la carretera de Segovia y el Polígono de San Cristóbal. - @POLICIAMV
Europa Press Castilla y León
Publicado: martes, 14 abril 2026 10:32

   VALLADOLID, 14 Abr. (EUROPA PRESS) -

   El incendio de un vehículo y las obras que se llevan a cabo en la VA-20 han complicado el tráfico a primera hora de la mañana en la Avenida Zamora.

   El incendio del vehículo se ha producido minutos antes de las 8.11 horas, cuando se ha informado al 112 del fuego en un turismo en la Avenida de Zamora con la Avenida de Madrid, sin que se produjeran heridos.

   Así, se ha dado aviso a la Policía Local de Valladolid, a Cuerpo Nacional de Policía y a los Bomberos de Valladolid, que han procedido a sofocar el incendio, han informado a Europa Press fuentes del Centro de Emergencias 112 de Castilla y León.

   Este suceso se ha sumado a los cortes de tráfico por obras que se llevan a cabo en diferentes puntos de la VA-20, que durante todo el día de hoy y este miércoles afectan a la rotonda de la confluencia de esta vía con la Carretera Segovia. En concreto, se ha cortado el acceso hacia la Avenida de Segovia en el tramo de entrada a Las Delicias.

   Esta situación, junto con el abundante tráfico de primeras horas de la mañana han provocado grandes retenciones con colas que han llegado prácticamente a bloquear la Avenida Zamora entre el acceso al Hospital Río Hortega (rotonda a la altura de la calle Dulzaina) y el Colegio San Agustín.

   Además, en dicha franja horaria se producen entradas a centros educativos situados en la zona (San Agustín, Jesuitinas o Universidad Europea Miguel de Cervantes, situados en este entorno).

Contador

Últimas noticias sobre estos temas

Contenido patrocinado